Our second time visiting these remote islands brings back fond memories of our first visit two years ago. Fortunately, there are so many coves, caves and coral “bommie” clusters to visit, it could take years just to scratch that itch to visit every single one.

New activities, and friends too! A portable floating dock makes for afternoon socials.

Snorkeling, Lobstering (err, well, I tried to catch lobster.)

Sea turtles!

Sharks – fortunately not close enough for pictures. But they are here!
Conchs everywhere. At some of the anchorages, they’re a bit more picked over, but without needing to venture very far it’s easy to fill a large bucket with large queen conch.

Trails with interesting markers – plastic trash is sadly everywhere, washed up on the eastern shores, blown in with the prevailing winds.



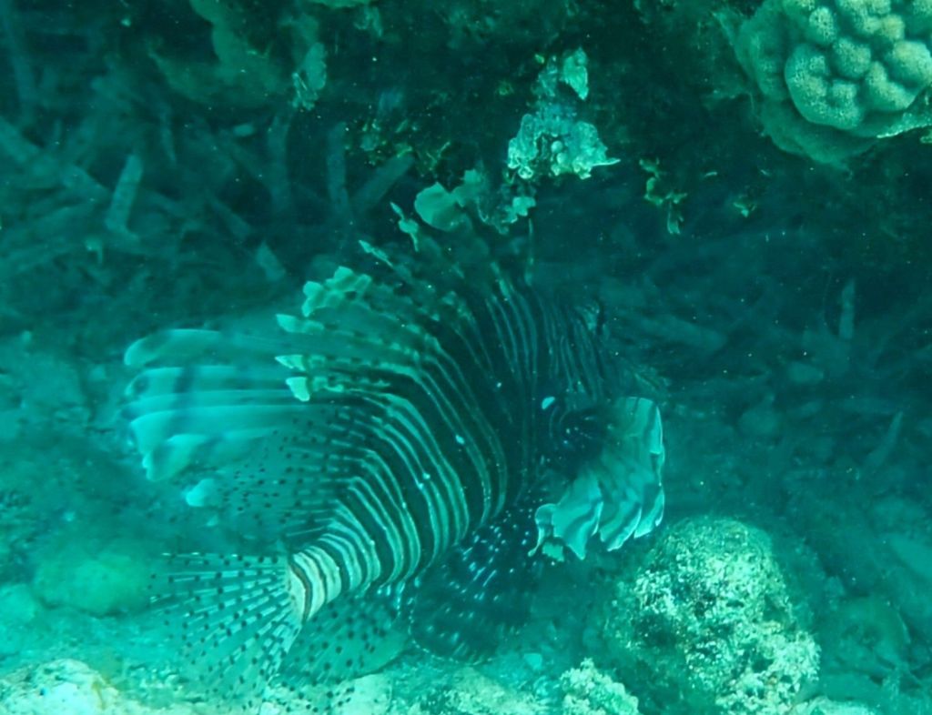
Other creatures, oyster catchers, lizards…









Google lens to the rescue… Chitons crowded the tidal rocks.
From Wikipedia…
Chitons are marine mollusks with eight overlapping shell plates, or valves, held together by a leathery girdle. They are herbivores that use a rasping tongue with tiny teeth, called a radula, to scrape algae from rocks. Chitons have primitive eyes in their shells that can detect light and dark, and some species can focus light and form images in both air and water.




Our three weeks here is soon going to end. But more adventures await! We hope you’re well and staying warm wherever you are!
Sooo beautiful! I want to be there! I’m so jealous……….
LikeLiked by 1 person
wonderful pictures and super seeing your adventures. Thank you
LikeLiked by 1 person